1 Mulberry Street Fordsville, KY 42347

Other MLS #: 93377 Courtesy Of CHANGE OF PLACE REAL ESTATE, LLC

Property InformationDescription

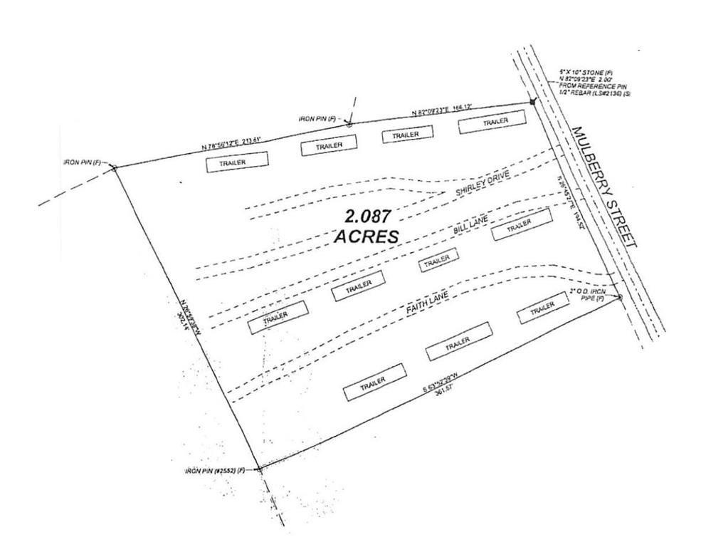
This fully licensed mobile home park offers a prime investment opportunity with 12 lots on 2.087 acres. Each lot is equipped with essential utilities including electric, water, and city sewer. Currently, 4 of the 12 lots are rented, providing immediate income potential. This mobile home park is conveniently located just 0.2 miles from Fordsville Elementary School and 0.7 miles from Kimball International manufacturing facility making this investment ideal for families and the local demand for employees and affordable housing.
MORTGAGE CALCULATOR

Features

  • Architecture Style: Other
  • Floor Covering: Other
  • MLSID: 93377

MAP & DIRECTIONS

Get Directions
1 Mulberry Street, Fordsville, KY 42347
View Directions
Copyright © 2026 Greater Owensboro Realtor® Association. All rights reserved. All information provided by the listing agent/broker is deemed reliable but is not guaranteed and should be independently verified. Information being provided is for consumers' personal, non-commercial use and may not be used for any purpose other than to identify prospective properties consumers may be interested in purchasing.